Skip to main content
Skip table of contents

OCR Summary Page

On this page:

The OCR Summary page allows you to view and edit district and building counts.

Viewing/Editing Totals on the OCR Summary Page

  1. Select Regulatory from the main menu, select Civil Rights Data Collection submenu, select Reports, and then select OCR Summary to open the page.

  2. Select the School Year and Form Type to view.

  3. If you set Form Type to Building, select the building to view.

  4. In the Question field, select the question to view.

  5. Click the Refresh icon to display the results.

  6. If required, select the Override checkbox for a field and adjust the calculated value if you do not want the Run OCR Reports option to recalculate your entry. As a precautionary measure, you must enter an override for any report Question with category values of N/A, please follow the steps provided in the next procedure.

  7. If you changed totals, click Save.

Entering Overrides for a Question with N/A Category Values

The following steps only apply if you need to override values for a report question where disaggregation categories show default values of N/A, as in the illustration below:

You can enter an override for any report Question with disaggregation category values of N/A

To set an override or overrides for a question with categories displaying the N/A value:

  1. Select the Override checkbox for the category or categories where you need to report a different value.

  2. Enter the category value override or overrides for the appropriate disaggregated counts.

  3. Select the Override checkbox for each remaining category displaying the N/A value.

  4. Enter 0 (zero) for these remaining categories.

  5. Click Save.

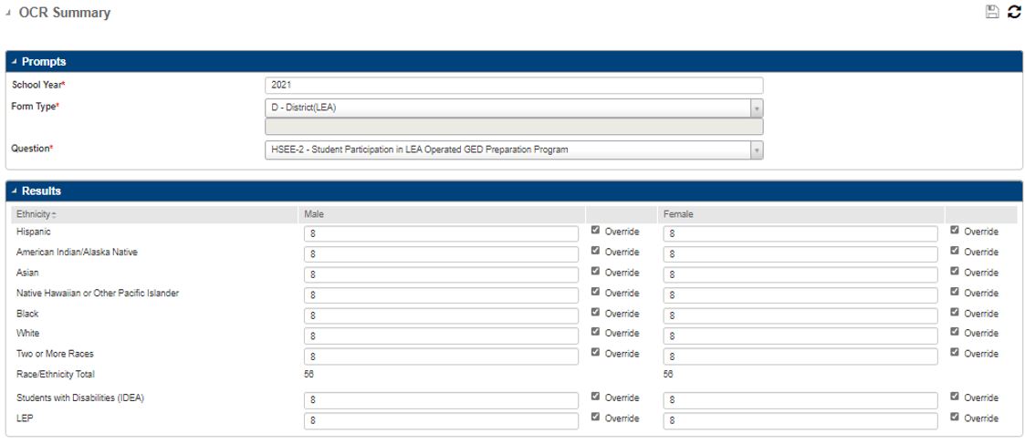
District Counts

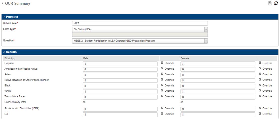
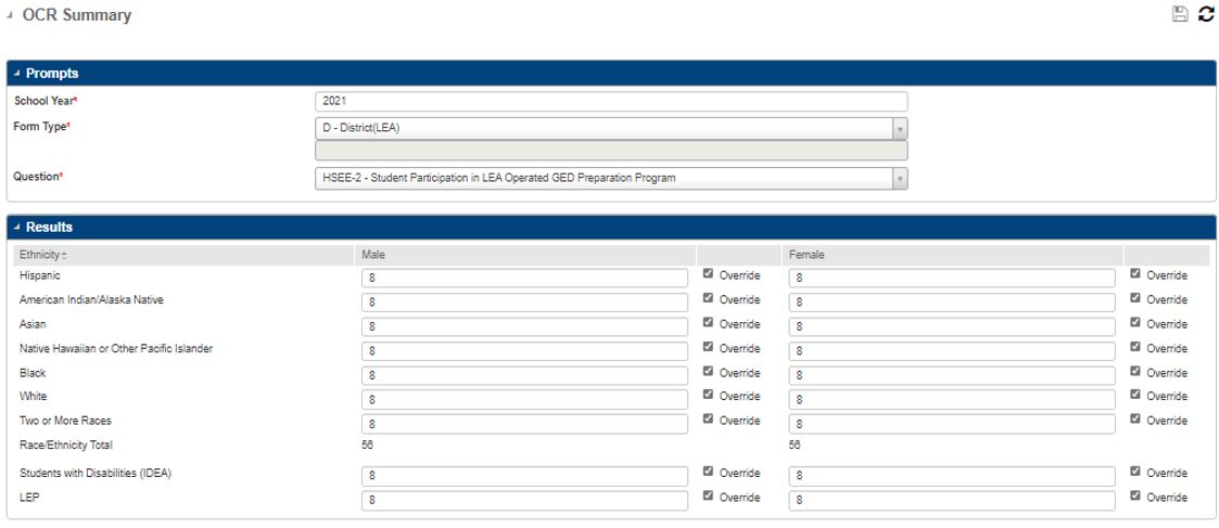
For the District (LEA) form, you can review and edit student counts for questions DSED-2 (distance education enrollment) and HSEE-2 (GED program participation). You must enter the counts for HSEE-2 on this page, if applicable for your district, since they are not calculated by the OCR Reports option. After you select the Question to view, click the Refresh icon to view the values stored in the OCR Summary table.

The HSEE-2 field is only accessible if the OCR District Setup screen has an answer of Yes for question HSEE-1: Did the LEA operate a General Educational Development (GED) preparation program for students aged 16 – 19? (located on the Miscellaneous panel).

OCR Summary – District/LEA Question HSEE-2

In the District (LEA) form, you can review and edit student counts for DSED-2 and HSEE-2 questions

In the District (LEA) form, you can review and edit student counts for DSED-2 and HSEE-2 questions

Make sure you select the Override checkbox for any count you want to use as a manual override. This preserves your entry from getting overwritten by subsequent use of the OCR Reports option.

Building Counts

The OCR Summary Page displays calculated building counts based on data in the OCR Detail table which stores OCR data per student. If you enter a value and save it, the data is stored in the OCR Summary table. To enter a manual override for any calculated student count, select the appropriate Override checkbox, and then make your entry. As long as Override is selected, that value will be used in the OCR report and flat file as a replacement for the calculated value.

The Race/Ethnicity Total row is a calculated sum of the counts for males and females. Depending on the Question, additional disaggregation categories will be displayed, as defined in the Civil Rights Data Collection School Form instructions provided by the Office for Civil Rights. For example, in addition to the race/ethnicity counts, Question COUR-7a – Students who passed Algebra I in grades 9 and 10 displays counts for IDEA and LEP students, while Question RETN2 GR10 – Students Retained in Grade 10 displays counts for IDEA, Section 504, and LEP.

Parent-Child Buildings

In a case where you have buildings set up so their OCR School Form counts will get totaled into the counts for a master or parent building, you will see the OCR Summary page function differently depending on whether you are viewing figures for one of the subsidiary child buildings or the parent building.

When you access a child building in the OCR Summary, you will receive the message: "This is a child building. Please see building number xxxxx to make changes".

The OCR counts for the child building are display-only. You may not make count overrides to the child building. The OCR Summary page does allow count overrides for the parent building.

Additional Information

The Nonbinary column will be reported only if the Report Nonbinary Student Counts is selected on the OCR District Setup page. This column is the same as the existing male and female columns.

JavaScript errors detected

Please note, these errors can depend on your browser setup.

If this problem persists, please contact our support.